Australian Plant Image Index
Australian National Botanic Gardens
Australian National Herbarium
enlarge image
©
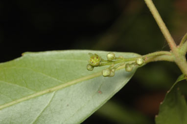
Daphnandra repandula
Photographer:
Fagg, M.
Copyright holder:
Fagg, M.
Date Taken:
20 September 2008
Taken at:
ANBG, ACT
Image Source:
Australian Plant Image Index (
APII
) -
Photo No.:
dig.6386
About APII
|
Use of images